宮古島No.1人気「シュノーケリング」

「宮古ブルー」と称される宮古島の海でのシュノーケリング体験は世界トップレベル。誰でも簡単に楽しめるのが宮古島シュノーケリングが人気な理由です。
「八重干瀬」や「青の洞窟」などの人気スポットをはじめ、ツアーだからこそ行けるウミガメスポットでのシュノーケリングツアーも楽しむことができます!
宮古島の海を全身で体感しましょう!
宮古島のツアー・アクティビティ予約なら宮古島ツアーズ♪

「宮古ブルー」と称される宮古島の海でのシュノーケリング体験は世界トップレベル。誰でも簡単に楽しめるのが宮古島シュノーケリングが人気な理由です。
「八重干瀬」や「青の洞窟」などの人気スポットをはじめ、ツアーだからこそ行けるウミガメスポットでのシュノーケリングツアーも楽しむことができます!
宮古島の海を全身で体感しましょう!

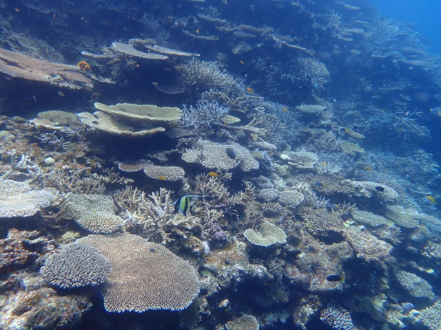
宮古島諸島は8つの島で構成されていますが、そのいずれもがサンゴが隆起して出来た島々です。
同じ沖縄の離島でも、石垣島や西表島と違って山がなく、大きな川がないため、山の養分を含んだ水が海に流れ込まず、プランクトン等が多く発生することが無いため、海の透明度が他の離島のリゾート地と比べても圧倒的に高いんです!
また、日本では珍しいビーチからのダイビングがあるほどすぐ近くにカラフルサンゴ・熱帯魚がいるのも宮古島の魅力。

また、サンゴが隆起してできたと言う成り立ちから、沖縄では『イノー』(礁池)と呼ばれる、岸から沖合200~300mまでサンゴ礁の浅瀬が続き、ビーチからすぐに水深2~3メートルまで深くなり、その先は再び緩やかに浅くなるという独特の地形をしているスポットが多いです。
『イノー』は、岸近くの海に適度な深さがあり、沖にはサンゴ礁が造った天然の防波堤があるので、潮が引いた時には、まるで天然のプールのように波静かです。
そのため、泳ぎやすくて、シュノーケルには理想的な海と言え、ボートに乗らなくてもシュノーケリングが楽しめる絶好の場所です。
透明度の高い海、豊富なサンゴ礁、遠浅のビーチと、あらゆる条件が揃った宮古島は世界でも有数のシュノーケリングポイントと言えます!

宮古島は亜熱帯気候に属し、下記の表の通り、気温も年間の平均気温が20℃前後、水温も冬場でも20℃以上あり、非常に温かいので、冬の時期でも5ミリのウェットスーツを着れば、問題なくシュノーケリングを楽しむことが出来ます!
もちろん温かい夏場はウェットスーツ無しでもお楽しみいただけます。
* ただし、浅瀬をシュノーケルする場合はサンゴ礁等もあるため、ウェットスーツを着たほうが良い場合もあります。

他の地域では寒くて海に入るなんてとてもできない冬でも美しい海を楽しめるのはいいですね!せっかくの南国旅行なので、冬でも宮古ブルーの海を満喫しましょう。

初めてシュノーケリングツアーに参加する方や小さなお子様にとって、「ちゃんと泳げるか」、「シュノーケルで呼吸できるか」など、色々と心配事も多いかもしれません。
でも心配はご無用です!ツアー開始前にはベテランガイドが丁寧にレクチャーします。
シュノーケルは口だけで呼吸するので、最初は慣れないかもしれませんが、慣れればずっと海面に顔をつけておけるようになります!
フィンの使い方はバタ足の様にバタバタすのではなく、ゆっくりと足を大きく動かすのがコツ。
うまく使えば、思っている以上に推進力が出るので、そこまで体力を使わずに自由に泳ぐことができます。
また、ツアー中は経験豊富なインストラクターが引率しますので、小さいお子様からご年配の方でも安全にシュノーケリングを楽しめます。また、ライフジャケットも着用するので安心!
誰でも気軽にできるシュノーケリングで宮古島の海を満喫しましょう!

宮古島はさまざまな地形や入り江があるので、シュノーケルをするポイントによってさまざまな体験ができるのも魅力的。
国の天然記念物に指定された日本最大級のサンゴ礁ポイントである『八重干瀬(やびじ)』エリアやウミガメに出会えるポイント、海の色が美しすぎる『青の洞窟』、カクレクマノミに出会える『中の島ビーチ』などポイントによって楽しみ方も満載です。
ぜひ、魅力たっぷりのシュノーケリングの宝庫”宮古島”を味わいましょう!

宮古島南部に位置するシギラビーチは水深が浅く、お子様ずれの方や初心者の方でもお気軽にシュノーケリングに参加できます。
海中にはカラフルな魚やサンゴが棲息していることに加えて、宮古島屈指のウミガメスポットでもあり、高確率でウミガメに遭遇できます。
自然に泳いでいるウミガメと一緒に泳げるシュノーケリングツアーも開催しています!
↓高確率でウミガメに出会えるツアーはこちら!

八重干瀬は宮古島北部に位置し、池間島より船で30分ほどでアクセスが可能です。
八重干瀬の無数のサンゴ礁が広がっています。そこには多種多様な魚たちが棲息していることから、シュノーケリングに加えてダイビングで非常に人気を集めているスポットです。
船でのみアクセスが可能なのでツアーのご参加は必須になりますが、宮古島の海の魅力を堪能できるでしょう。
↓八重干瀬おすすめツアーはこちら!

イムギャーマリンガーデンは宮古島南部に位置し、ニモでお馴染みのクマノミやウミガメに高確率で出会うことができます。
自然にできた入江の地形になっているため、比較的穏やかな海を楽しむことができます。
砂浜部分は少ないですが、天然プールと称されるほど穏やかで泳ぎやすいスポットです!
↓イムギャーマリンガーデンの詳細はこちら!

そしてもう一つ宮古島のシュノーケリングの最大の魅力はなんと言っても『ウミガメ』!
普段の生活ではテレビの中か、水族館でしか見ることの出来ない、希少なウミガメとかなりの高確率で出会うことが出来ます!(10年間シュノーケリングツアーでのウミガメ遭遇率100%のツアーガイドも!)
しかもシュノーケル中にはるか遠くに小さくウミガメを見るようなレベル感ではなく、手を伸ばせば、いや、手を伸ばさなくても触れられるようなすぐそこにウミガメがいる状態で一緒にシュノーケリングを楽しむことが出来ます!
世界中探してもここまでの高確率でウミガメと出会える場所はほとんど見当たりません!宮古島ならではのウミガメシュノーケリングは一生の思い出になること間違いなしです!
↓高確率でウミガメに出会えるツアーはこちら!

宮古島の海では沖縄ならではのカラフル熱帯魚が数百、数千といった熱帯魚を見ることが出来ます。
南国のリゾート地”宮古島”ならではの熱帯魚に囲まれたシュノーケリングを楽しめます。
特に『中の島ビーチ』は安全でかつ熱帯魚ポイントともいわれており、小さいお子様に大人気のクマノミが何と4種類も見えちゃいます。
日本でもNo.1といってもいいほどの熱帯魚天国を宮古島で味わっちゃいましょう!
宮古島の数あるシュノーケリングプランからどのプランを選べばいいのかわからないといった方もご安心ください。
宮古島ツアーズではお客様のニーズに合わせた豊富なシュノーケリングツアーをご用意しています。
こちらを参考にして自分にあったプランを探してみてください!

宮古島で必ず出会いたいという生き物がいる場合は、遭遇率の高いツアーに参加しましょう。
中でも宮古島で人気なのが「ウミガメ」です!宮古島はウミガメと高確率で出会えるシュノーケリングスポットがたくさんあります。
人気ウミガメシュノーケリングツアーはこちら↓
宮古島のシュノーケリングにはビーチの浅瀬から始める「ビーチエントリー」と船に乗ってシュノーケリングポイントまで行く「ボートエントリー」の2パターンエントリー方法があります。

ビーチエントリーは浅瀬から徐々に泳いでいくため、大人からお子様まで初心者の方も含めて全員が楽しみやすいシュノーケリングツアーになっています。
船に乗る必要がないので船酔いしやすい方でも安心してご参加いただけます。
ビーチエントリーのおすすめプランはこちら↓
【地域共通クーポン対象】カラフルサンゴ&熱帯魚と遊ぼう!お手軽ビーチシュノーケリングツアー(No.918)開始時間:9:30-11:30,13:30-15:30所要時間:約2時間8,900円 →7,900円
船に乗ってシュノーケリングポイントへ向かうため、あまり歩く必要がないという点がボートエントリー一番の魅力です。
ただし、いきなり足の届かないところからシュノーケリングが開始されるため、泳ぎになれていない方はビーチエントリーをお勧めします。

宮古島のシュノーケリングツアーには、他のSUPやカヤックといったアクティビティとセットになったツアーがたくさんあります。
セットツアーは、単品ツアーを複数申し込むよりお得に参加することができます!
中でもウミガメシュノーケリングとビーチSUP、パンプキン鍾乳洞ケイビングがセットになった宮古島プレミアムプランが人気です!

宮古島現地でシュノーケリングツアーに参加したくなった場合もご安心ください。宮古島ツアーズでは前日・当日までツアー参加を受け入れているプランが多数ございますので、お気軽にご相談ください。
ネット予約・電話予約など様々な手段で簡単に予約ができます!(当日予約の場合は電話でのご予約が一番スムーズです。)
宮古島で「シュノーケリングがしたい」「ウミガメと泳いでみたい」などのご要望があればお気軽にご連絡を頂ければできる限りご希望にお答えしますので、お気軽にお問い合わせください。

シュノーケリングには、シュノーケルと水中メガネ(ゴーグル)、フィン(足ひれ)の3点セットが必要です。
3点セットは通常数千円程度で購入でき、現地のビーチではレンタルを行っているところもあります。
宮古島のシュノーケリングツアーのほとんどではツアーに必要な器具の無料レンタルを行っております。
着替えやバスタオルだけお持ちいただければ、大きな機材などをおもちにならなくても、ラクラクご参加できます。水着だけご用意いただければ、あとはお任せください!
台風の影響でグラスボートが中止になりおすすめして頂いたシュノーケルに ウン10年ぶりに挑戦❗一昨年、主人が突然他界し、昨年は大病した私ですが カヤックも珊瑚の岩をくぐり抜け、海迄出ての冒険と シュノーケルでは ボラの大群、ニモやカラフルな魚と珊瑚の大輪と えいちゃんのガイド、 とても楽しかった〜🐠地球って素敵😍生きててよかった(笑) 何度も電話でのやり取り ありがとうございました。 海が苦手な親友も 頑張ってくれた。しまいには又、やりたいと…😆 青の洞窟、リベンジしたいなー😚
夫婦と、小学生2人で参加しました。 子供たちに優しいスタッフさんばかりで、子供が迷惑かけてしまいすみませんでした。 写真も沢山撮ってもらい、楽しい思い出作りが出来て楽しかったです。
サップは初め立つのが少し難しいですが、慣れると結構簡単です。 シュノーケリングも疲れたらガイドさんが浮き輪で引っ張ってくれるので無理なく楽しむことができます。 写真もガイドさんが沢山撮ってくれるので楽しみまくれました! ありがとうございました!思い出も沢山ありがとう〜
シュノーケリングもサップも人生初体験でした。 それぞれ別のガイドさんでしたが、どちらの方も丁寧にレクチャー、面白い話、知識量どれもプロでとても楽しかったです。 こんなおじさん1人で参加したいですしても文句言わず手厚いサポートしてくれました。ありがとうございました。
今回初めてサップに挑戦しましたが、ガイドさんのレクチャーが上手だったのですぐ立つことができました。途中1回油断した時に落ちたのですが、その時も素早く助けてくれかっこよかったです! 写真も想像以上に沢山撮ってくれるのでカメラとか持っていく必要ありません! とても楽しいので是非参加してみてください!
宮古島王道のマリンアクティビティ、サップとシュノーケリング。どちらも楽しいですがどちらかと言うと私はシュノーケリングの方が好きでした。というのも、ウミガメはもちろんニモなどにも出会え、本当に貴重な体験が出来ました! 手厚いサポート、たくさんの写真ありがとうございました! また絶対遊びに来たいと思います!

シーンや時間帯から参加したいツアーを探してみましょう♪

申し込みたいプランを決めたら、日付と時間帯を選んで申し込み開始!

予約が完了すると、宮古島ツアーズから連絡がきます♪

あとは当日参加するだけ!思いっきり楽しんじゃおう!!